[Isis-users] Modificar Hoja entrada de datos de ISAD-G en ABCD
    Jesus E Jurado 
    jurado020607 at gmail.com
       
    Thu Sep 18 19:39:14 CEST 2025
    
    
  
Ok. Esperaré pacientemente.
Gracias MM Maclean
El jue., 18 de septiembre de 2025 1:18 p. m., Maria Mercedes MacLean <
gaspyy60 en gmail.com> escribió:
> Hola. En español yo los tengo..pero estoy en Uruguay y la máquina, con el
> ABCD que funciona bien, está en Buenos Aires. Te vuelvo a responder con eso
> la próxima semana. Desde mí máquina de escritorio. Acá peleó con unas
> notebook 's con win 10 y 11.
> Saludos
>
> Ma.Mercedes MacLean
> gaspyy60 en gmail.com <3m en oroyectoleonardo.com.ar>
> mamemaclean en gmail.com <mmm en mamercedesmaclean.com.ar>
>
> El jue, 18 sept 2025, 2:12 p. m., Jesus E Jurado <jurado020607 en gmail.com>
> escribió:
>
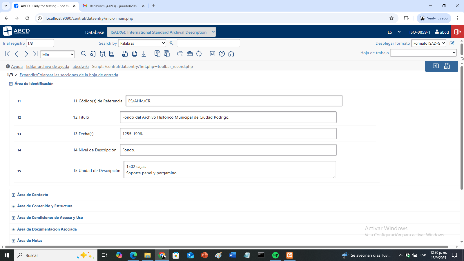
>> Saludos amigos de ISIS-L. Estoy explorando la base de datos ISAD-G en
>> ABCD y me encuentro que en el formato de entrada de datose en español que
>> tiene por defecto.  No aparecen los botones que al presionarlos, llevarian
>> a los mensajes de ayuda para cada campo. Extrañamente para idioma portugues
>> SI aparecen esos botones ( aunque no muestra el mensaje de ayuda porque no
>> esta disponible la carpera con los mensajes de ayuda en protugues pero eso
>> es otro problema).
>>
>> [image: image.png]
>>
>> Busque en Actualizacion de Base de datos - Hoja de Trabajo y marque
>> "Ayuda" pero aun asi, no me aparece el boton cuando hago uso de la hoja de
>> trabajo para ingresar datos.
>> [image: image.png]
>>
>> ¿Alguna sugerencias ?
>>
>> Jesus Jurado
>>
>>
>> _______________________________________________
>> isis-users mailing list
>> isis-users en iccisis.org
>> To manage your own subscription options go to:
>> http://lists.iccisis.org/listinfo/isis-users
>> Or contact Henk Rutten: hlrutten en xs4all.nl
>>
>
------------ próxima parte ------------
Se ha borrado un adjunto en formato HTML...
URL: <http://lists.iccisis.org/pipermail/isis-users/attachments/20250918/68f92ef2/attachment.html>
------------ próxima parte ------------
Se depuró un adjunto no texto...
Nombre: image.png
Tipo: image/png
Tamaño: 179740 bytes
Desc: no disponible
URL: <http://lists.iccisis.org/pipermail/isis-users/attachments/20250918/68f92ef2/attachment.png>
------------ próxima parte ------------
Se depuró un adjunto no texto...
Nombre: image.png
Tipo: image/png
Tamaño: 210549 bytes
Desc: no disponible
URL: <http://lists.iccisis.org/pipermail/isis-users/attachments/20250918/68f92ef2/attachment-0001.png>
    
    
More information about the isis-users
mailing list